【仲介物件】2025/11/29
情報更新しました!
みなさん こんにちは
当社仲介物件情報を更新しました!
【新規物件】
「上九沢」新築戸建:3,450万円
「橋本3丁目」ドラゴンマンション橋本弐番館:3,999万円
「西橋本3丁目」ライオンズマンション西橋本:4,780万円
「谷ヶ原2丁目」建築条件なし売地:2,980万円
【価格変更物件】
「橋本3丁目」スガハイム橋本:4,699万円
「久保沢2丁目」建築条件なし売地:990万円
「東橋本4丁目」新築戸建:5,299万円
【情報更新物件】
「原宿南1丁目」新築戸建2棟:4,780万円~
少しでも気になる物件がございましたら
どうぞお気軽にお問合せください。
詳細は以下をご覧ください。
新規物件
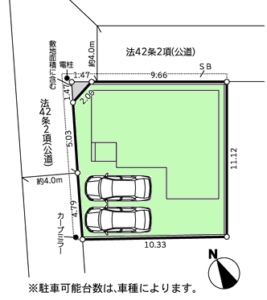
大沢地区【新築一戸建て】
【相模原市緑区<上九沢>全1棟】地震に強い家/敷地面積36坪/
角地/駐車2台可/LDK16帖/収納豊富設計/都市ガス/生活便良好
詳細


ーーーーーーーーーーー
橋本地区【中古マンション】
【相模原市緑区<橋本>ドラゴンマンション橋本弐番館 7F】駅徒歩5分/
角住戸/陽当り良好/ペット可/内装設備一新/利便性良好
詳細

ーーーーーーーーーーー
橋本地区【中古マンション】
【相模原市緑区<西橋本>ライオンズマンション西橋本 7F】駅徒歩13分/
陽当り・眺望良好/ペット可/LDK18帖/新規リフォーム済
詳細

ーーーーーーーーーーー
城山地区【土地】
【相模原市緑区<谷ヶ原>全1区画】建築条件なし売地/敷地面積71坪/
平坦地/南北両面道路/陽当り良好/緑豊か閑静な住宅街
詳細

価格変更物件
橋本地区【中古マンション】
【相模原市緑区<橋本>スガハイム橋本 11F】駅徒歩6分/角住戸/
陽当り良好/ペット可/ワイドバルコニー/内装フルリノベ
詳細
価格変更(4,799万円→4,699万円)しました!

ーーーーーーーーーーー
橋本地区【新築一戸建て】
【相模原市緑区<東橋本>全1棟】★完成★駅徒歩15分/角地/
敷地面積36坪/駐車2台/省エネ住宅/LDK18帖/収納豊富/生活便良好
詳細
価格変更(5,399万円→5,299万円)しました!

ーーーーーーーーーーー
橋本地区【新築一戸建て】
【相模原市緑区<西橋本>1号棟】★完成★地震に強い家/敷地面積36坪/
陽当り良好/駐車2台可/LDK17帖/収納豊富/生活便良好
詳細
価格変更(5,780万円→5,580万円)しました!

情報更新物件
城山地区【新築一戸建て】
【相模原市緑区<原宿南>全2棟】★完成★地震に強い家/敷地面積45坪/
陽当り良好/駐車3台/LDK17帖/収納豊富/生活便良好
<1号棟> 4LDK 詳細
<4号棟> 4LDK 詳細
建築完成しました!内覧できます!


ご成約物件
橋本地区【新築一戸建て】
【相模原市緑区<東橋本>8号棟】★完成★駅徒歩14分/敷地面積36坪/
陽当り良好/駐車2台可/LDK18帖/収納豊富/生活便良好

城山地区【新築一戸建て】
【相模原市緑区<原宿>1号棟】★完成★地震に強い家/
敷地面積30坪/LDK16帖/駐車1台可/収納豊富/生活便良好

橋本地区【新築一戸建て】
【相模原市緑区<相原>2号棟】★完成★駅徒歩13分/地震に強い家/
南道路/陽当り良好/駐車2台可/LDK15帖/長期優良住宅

ご成約、ありがとうございました!
有限会社長瀬建設