【新築一戸建て】
【相模原市緑区<橋本>全1棟】駅徒歩11分/敷地面積41坪/駐車2台可/LDK18帖/納戸2ヶ所/小屋裏収納付/都市ガス/生活便良好
3/3 新規物件追加しました!
- 価格
- 4,780万円
- 所在地
- 相模原市緑区橋本8丁目
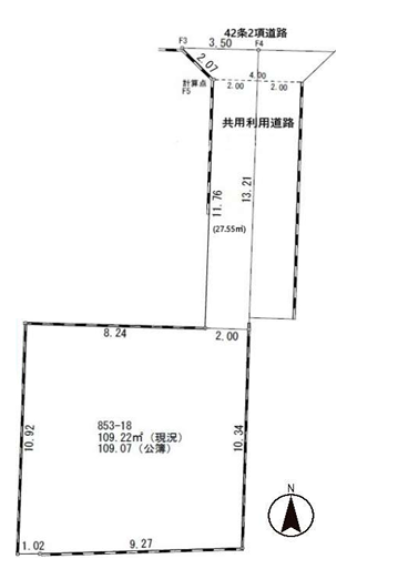
- 土地面積
- 136.77m2(41.37坪)
- 建物面積
- 104.99m2(32.06坪)
- 間取り
- 3LDK+2S+グルニエ
- アクセス
- JR横浜線「相原」徒歩11分、JR横浜線・相模線・京王相模原線「橋本」徒歩20分
■相原駅より徒歩11分
■橋本駅より徒歩20分
■2駅3路線利用可
■オープンハウスアーキテクト施工
■敷地面積41坪
■カースペース2台可
■LDK広々18帖
■明るい2階リビング
■全居室収納付き収納豊富設計
■納戸2ヶ所(4.5畳・5.25畳)
■グルニエ付き小屋裏収納6.75畳
■セカンド洗面台あり
■ガス乾燥機幹太くん設置可
■都市ガス
■フラット35S(金利Bプラン)利用可
■スーパー・病院・施設が近く生活便良好
■小・中学校まで徒歩7分圏内
☆当麻田小学校学区内
☆相原中学校学区内
周辺環境
- コンビニ・スーパー
- セブン-イレブン 相模原相原2丁目店near_me
- コンビニ・スーパー
- オーケー 橋本店near_me
- 学校
- 相原中学校near_me
- 学校
- 当麻田小学校near_me
- 幼稚園・保育園
- 新町幼稚園near_me
- 幼稚園・保育園
- 星の子第2保育園near_me
- 病院
- 橋本みなみ内科本院near_me
- その他
- ドラッグセイムス 相模原相原店near_me
- その他
- 橋本郵便局near_me
- その他
- ラ・フロール橋本店(大型商業施設)near_me
詳細情報
土地
- 地目
- 宅地
- 用途地域
- 第一種低層住居専用地域
- 土地の権利形態
- 所有権
- 都市計画
- 市街化区域
- 接道状況
- 北側約4m公道、敷地使用等承諾部分あり(私道の堀削・通行承諾あり)
建物
- 建ぺい率・容積率
- 50%・80%
- 構造・工法
- 木造2階建
- 駐車場
- 2台可
- 施工会社名
- 株式会社オープンハウス・アーキテクト
設備
- 上水道
- 公営水道
- 下水道
- 本下水
- ガス
- 都市ガス
- 設備
- カウンターキッチン、浄水機能付水栓、食器洗浄機、ガスコンロ(3口)、キッチン窓、浴室乾燥機、追い焚き、洗髪洗面化粧台、トイレ2ヶ所、温水洗浄便座、小屋裏収納、24時間換気システム、全室コンセント2ヶ所、モニター付インターフォン、電子ロックキー、人感センサーライト、窓シャッター
販売期
- 完成時期
- 令和8年5月完成予定
その他
- 現況
- 建築中
- 引渡日
- 相談
- その他の法令上制限
- 第22条区域、相模原市景観条例
- 備考
- 建築確認番号:第KBI-YKH25-10-3191号
有限会社長瀬建設

